Rasamala
Altingia excelsa
Rasamala
Altingia excelsa
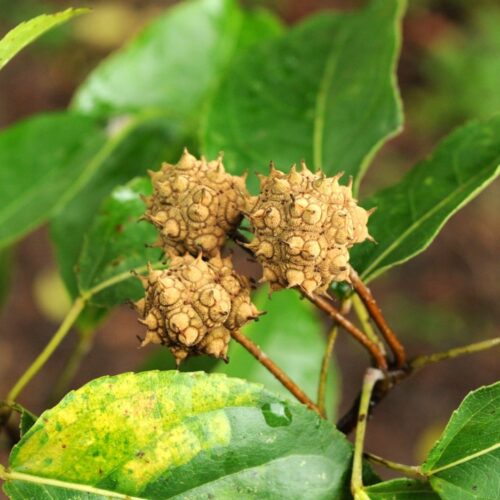
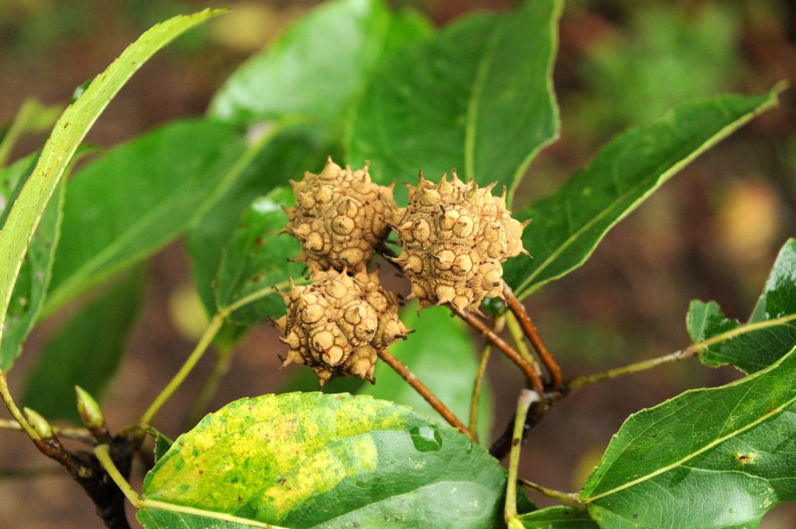
Rasamala tree or Altingia excelsa is native tree to Southeast Asia, including Indonesia, and northeastern India. It is often a gregarious species, often associated with species of oaks, podocarpus, quercus, and castanopsis. Rasamala is an evergreen tree thriving in mountainous areas. The tree remains green year-round, although its leaves can turn reddish-brown, especially as they mature.
Environmental Impact
- ✔ Biodiversity Support, ✔ Carbon Sequestration, ✔ Erosion Control, ✔ Shading, ✔ Soil Conservation
Tree Usage
- Economic, Food, Medicinal
Altingia excelsa
Rasamala
Mala, Tulasan, Mandung
Altingiaceae
Least Concerned
Each mature tree can adsorb 710.75 Kg of carbon
Himalaya, Myanmar, Malaysia, Indonesia
It can reach a height of 40-60 meters with a branch-free height of 20-35 meters, and a diameter of up to 80-150 cm. Young trees are very elegant with a dense pyramidal – later become more rounded crown. The bark light grey, smooth with narrow, longitudinal fissures and irregularly flakes.
It occurs naturally mainly in humid mixed hill and montane forests. In Java, this species only grows in the western region at an altitude of 500-1,500 meters above sea level, in hilly areas and humid mountainous forests.

The trees produce aromatic resin commonly used as a room fragrance, providing a source of income for local people

The leaves can be grinded as an expectorant to cure cough

Its timber is used in heavy construction, vehicle bodies, ship and boat building, heavy flooring, rafters, veneer, plywood, and pulp.
- The sweetly scented seeds are food for monkeys and birds.
- Its wood is very durable, even when in direct contact with the soil.
- Some local communities in West Java, Indonesia, consider the tree as a sacred tree for its fragrant odor.
- Rasamala trees thrive perfectly in West Java region and dominate the forest of Gunung Gede Pangrango National Park in Bogor, including one of the oldest, estimated to be 350 years old with a diameter of 4-meter.
- Local communities, especially in Java, eat fresh leaf tips as salad.


